Local Service Overview

Get Ants Extermination Service in Mckinney, TX

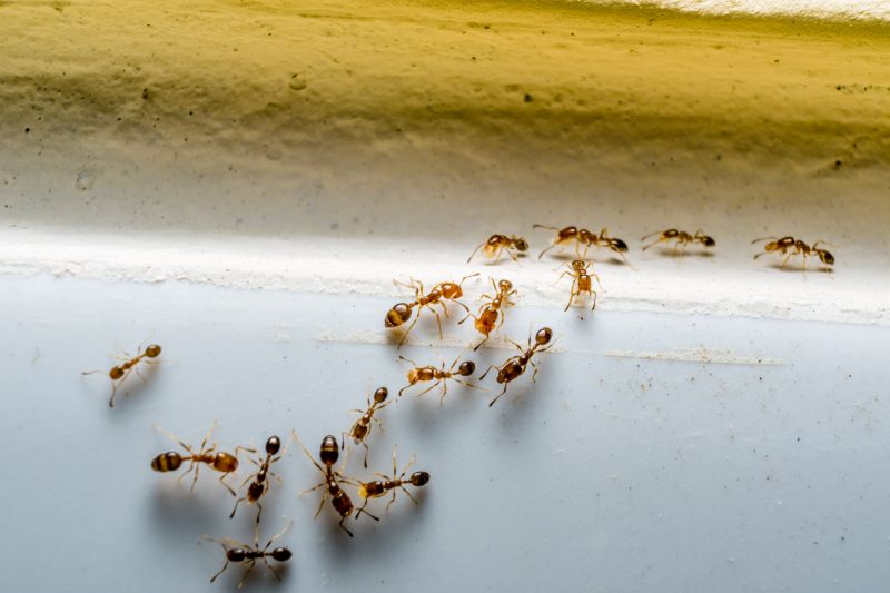
Ants extermination services for property owners in McKinney, TX, and nearby areas address ant infestations, prevent future invasions, and handle residential and commercial pest control projects.

Mckinney, TX

Ants extermination services are essential for property owners in Mckinney, TX seeking to maintain a comfortable and safe living or working environment. Infestations can disrupt daily routines, compromise hygiene, and cause damage to structures and belongings. Professional extermination helps eliminate colonies efficiently, reducing the risk of future invasions and minimizing the need for ongoing maintenance. This service not only enhances the functionality of a property but also contributes to its overall durability by preventing pest-related deterioration.

Choosing expert ant extermination provides benefits that extend beyond immediate relief. Proper treatment can improve curb appeal by preventing unsightly ant trails and damage, making properties more attractive and inviting. Additionally, it offers peace of mind by ensuring a pest-free space, which can support a sense of safety and comfort for residents and visitors alike. Contacting experienced local service providers ensures tailored solutions that address specific property needs, fostering long-term protection and satisfaction.

Get Ants Extermination Service Quotes

  • Ants Extermination - Needed when ants invade residential or commercial spaces in Mckinney, TX and surrounding areas.
  • Ants Extermination - Required to eliminate persistent ant colonies in kitchens, bathrooms, or outdoor areas.
  • Ants Extermination - Sought for preventing ant infestations in new construction or renovation projects.
  • Ants Extermination - Useful when ants threaten stored food or attract other pests in homes and businesses.
  • Ants Extermination - Necessary for ongoing pest management to keep ant populations under control in local neighborhoods.

Get Ants Extermination Service Quotes

Ants Extermination Service
Ants Extermination Service
Ants Extermination Service

Ants extermination services involve identifying and eliminating ant infestations within residential, commercial, or industrial properties. Professionals typically conduct thorough inspections to determine the extent of the ant problem and locate entry points, nests, and trails. Treatment methods may include the application of targeted insecticides, baiting systems, and exclusion techniques to prevent future invasions. These services aim to reduce ant populations effectively and prevent the recurring presence of ants inside the property.

Ant infestations can cause various issues, including property damage, contamination of food supplies, and general nuisance. Certain ant species, such as carpenter ants, are known for damaging structural wood, which can compromise the integrity of a building. Additionally, ants can contaminate kitchens, pantries, and dining areas, leading to hygiene concerns. Professional extermination services help address these problems by removing the ants and implementing measures to deter future invasions, contributing to a cleaner and safer environment.

Properties that typically utilize ants extermination services include single-family homes, apartment complexes, restaurants, and retail stores. Residential properties often seek help when ants invade kitchens, bathrooms, or gardens, especially during warmer months when ant activity increases. Commercial establishments, particularly those handling food or serving customers, rely on pest control services to maintain sanitary conditions and comply with health regulations. In some cases, larger industrial facilities may also require specialized treatments to manage significant ant populations.

Engaging local pest control professionals for ants extermination can provide tailored solutions based on the specific property type and infestation severity. These experts assess the unique conditions of each site and recommend appropriate treatment plans to ensure effective results. Regular inspections and maintenance services may also be advised to monitor and prevent future ant problems, helping property owners maintain pest-free environments over time.

The overview below groups typical Ants Extermination Service projects into broad ranges so you can see how smaller, mid-sized, and larger jobs often compare in Mckinney, TX.

In many markets, a large share of routine jobs stays in the lower and middle ranges, while only a smaller percentage of projects moves into the highest bands when the work is more complex or site conditions are harder than average.

Per-Visit Treatment - The typical cost for a single ant extermination visit ranges from $100 to $300, depending on the size of the property and severity of the infestation. Some providers may charge around $150 for standard residential treatments. Costs can vary based on the extent of the ant problem and treatment method used.

Initial Inspection and Estimate - An initial inspection usually costs between $50 and $150, with some service providers offering free assessments. This fee covers evaluating the property to determine the extent of the ant infestation. The price may increase if extensive inspection or multiple visits are required.

Monthly or Quarterly Service Plans - Ongoing ant control plans typically range from $40 to $80 per month or $120 to $240 for quarterly visits. These plans often include regular treatments to prevent future ant problems. The cost depends on the size of the property and the level of infestation risk.

One-Time Treatment Cost - A one-time ant extermination service can cost between $150 and $400, depending on property size and infestation severity. Larger properties or severe infestations may incur higher fees. This option is suitable for immediate, short-term control needs.

Actual totals will depend on details like access to the work area, the scope of the project, and the materials selected, so use these as general starting points rather than exact figures.

Get an Ants Extermination Service Quote

Ants Extermination - Local pest control providers offer specialized services to eliminate ant infestations in residential and commercial properties. They utilize targeted treatment methods to address specific ant species and prevent future issues.

Ant Colony Removal - Service providers can locate and remove ant colonies deep within structures or outdoor areas, reducing the likelihood of recurring problems.

Barrier Treatments for Ants - Professionals apply barrier treatments around buildings to create a protective zone that deters ants from entering indoor spaces.

Natural Ant Control Solutions - Some providers offer eco-friendly and natural methods to manage ant populations without harmful chemicals.

Preventive Ant Control - Experts advise on and implement strategies to prevent ant invasions through property sanitation and structural repairs.

Emergency Ant Extermination - Rapid-response pest control services address urgent ant infestations to minimize property damage and nuisance.

Ants Extermination Service

When selecting a professional for ant extermination services, it’s important to consider their experience in handling ant infestations within residential settings. Homeowners should look for service providers who have a proven track record in effectively managing ant problems in the local area, ensuring they are familiar with common species and effective treatment methods. Reputable references or reviews from previous clients can offer insights into a provider’s ability to deliver satisfactory results and handle various ant-related issues confidently.

Clear communication about the scope of work, treatment approaches, and any necessary follow-up actions is essential when working with a pest control provider. Homeowners are encouraged to seek out professionals who provide written expectations that outline the services offered, the treatment process, and any preparations needed beforehand. Transparent communication helps establish trust and ensures that both parties are aligned on the service plan, reducing misunderstandings and facilitating a smoother experience.

The reputation of a local pest control provider can often be gauged through recommendations from neighbors or community members. Homeowners may consider asking for references or reading reviews to verify a provider’s reliability and professionalism. Since the site introduces local options rather than acting as a contractor, it’s important to contact multiple service providers directly to compare their experience, communication style, and references. This approach helps in identifying a reputable professional capable of addressing ant issues effectively, tailored to the specific needs of the home.

Get an Ants Extermination Service Quote

Property owners in Mckinney, TX use Ants Extermination Service services for practical projects around their homes and businesses. The sections below highlight everyday jobs and straightforward project options.

Ants Extermination Service
Ants Extermination Service

Ants Extermination Service providers are often sought by property owners in McKinney, TX, facing common household intrusions. Ants can appear unexpectedly in kitchens, pantries, or around exterior foundations, especially during warmer months. Property owners may look for professional assistance to address these infestations efficiently and prevent future reappearances, ensuring their living spaces remain comfortable and pest-free.

In addition to immediate removal, property owners might seek ant extermination services to eliminate the root causes of recurring problems. This can include identifying entry points, applying targeted treatments, or advising on preventive measures around the property. Local service providers can help maintain a pest-free environment, supporting homeowners and business owners in managing ant issues effectively.

Get an Ants Extermination Service Quote

How do ant extermination services work? Ant extermination services typically involve inspecting the property to identify ant colonies, applying targeted treatments to eliminate ants, and providing recommendations to prevent future infestations.

Are chemical treatments safe for my family and pets? Many local ant extermination providers use treatments designed to be safe when applied properly; it is best to discuss safety concerns with the service provider during contact.

How long does an ant extermination treatment last? The duration of effectiveness can vary depending on the treatment method and severity of the infestation; regular inspections and follow-up treatments may be recommended.

Can ant extermination services prevent future infestations? Yes, professional treatments often include advice and measures to help reduce the likelihood of ants returning to the property.

What should I do before an ant extermination service appointment? It is generally advised to keep the area clean, remove food and water sources, and follow any specific instructions provided by the service provider during contact.

Ants Identification and Inspection - Local pest control providers can assess the extent of ant infestations to determine the most effective treatment options.

Ant Extermination Treatments - Professionals offer targeted solutions such as baiting and residual sprays to eliminate ant colonies and prevent future invasions.

Preventive Ant Control - Service providers can advise on and implement measures to reduce attractants and seal entry points around properties.

Ongoing Monitoring and Maintenance - Regular inspections by local experts help ensure ant issues are managed promptly and effectively over time.

Ants Extermination Service

Considering Ants Extermination Service for a property in Mckinney, TX? The sections above highlight common project types, practical options, and details that often shape the scope of work.

When you are ready, use the quote form to share a few details about your project. Local pros can review the basics and respond with options that match what you have in mind.

Get an Ants Extermination Service Quote

Ants Extermination Quotes

Our Trusted Partners
Cantu Pest Control
Orkin
Hawx Pest Control