Local Service Overview

Get Ants Extermination Service in Nevada, TX

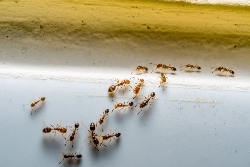
Ants extermination services for property owners in Nevada, TX, and nearby areas address ant infestations, prevent future outbreaks, and handle residential and commercial pest control projects.

Nevada, TX

Ants extermination services in Nevada, TX provide property owners with a practical solution to prevent invasive ant populations from disrupting daily life. These services help maintain a comfortable and safe environment by effectively reducing the presence of ants that can cause nuisance, damage to structures, or contamination of food supplies. Utilizing professional extermination methods ensures that homes and businesses remain functional and free from pest-related disruptions, contributing to peace of mind for residents and property managers alike.

In addition to addressing immediate pest concerns, ants extermination services offer benefits such as enhanced curb appeal and reduced ongoing maintenance. By controlling ant activity around the property, owners can preserve the durability of their structures and landscaping, preventing potential damage caused by ant colonies. This proactive approach supports the overall safety and aesthetic appeal of the property, making it a valuable investment for those seeking long-term pest management solutions.

Get Ants Extermination Service Quotes

  • Ants Extermination - When ants invade kitchens or pantry areas in Nevada and nearby regions, professional extermination services can help eliminate the infestation.
  • Ants Extermination - If outdoor ant colonies are near residential or commercial properties in Texas or neighboring states, local pros can provide targeted treatments.
  • Ants Extermination - Persistent ant trails inside homes or businesses may require expert intervention to prevent further intrusion in nearby urban or suburban areas.
  • Ants Extermination - When ant activity is observed around foundation or entry points in cities across the Southwest, professional services can address the problem effectively.
  • Ants Extermination - Ants nesting in wall voids or hard-to-reach areas in regions like Nevada and Texas often need specialized treatment from local pest control providers.

Get Ants Extermination Service Quotes

Ants Extermination Service
Ants Extermination Service
Ants Extermination Service

Ants extermination services involve professional treatments aimed at eliminating ant infestations from residential, commercial, or industrial properties. These services typically include a thorough inspection to identify the species of ants and locate their nests and entry points. Using targeted application methods, pest control providers implement treatments designed to reduce or eradicate ant populations effectively. The goal is to address the root causes of the infestation, ensuring that ants are removed from the property and do not return easily.

This service helps solve common problems associated with ant invasions, such as property damage, contamination of food supplies, and general nuisance. Certain ant species, like carpenter ants, can cause structural damage by burrowing into wood, while others, such as fire ants, pose health risks through painful stings. Ants can also contaminate food stored in kitchens and pantries, leading to potential health concerns. Professional extermination aims to eliminate these issues by reducing ant activity and preventing future invasions.

Properties that typically utilize ant extermination services include homes, apartment complexes, restaurants, grocery stores, and warehouses. Residential properties often seek treatment to protect food supplies and maintain a comfortable living environment. Commercial establishments, especially those involved in food handling or storage, prioritize pest control to meet health standards and prevent business disruptions. Larger properties with extensive landscaping or outdoor areas may also require ongoing pest management to prevent ants from establishing colonies near buildings.

Engaging with local pest control providers for ant extermination services offers a tailored approach to managing infestations. These professionals assess the specific needs of each property, recommend appropriate treatment options, and implement solutions designed to address the unique challenges of each environment. Contacting local experts ensures that property owners and managers receive effective, targeted assistance in maintaining ant-free spaces.

The overview below groups typical Ants Extermination Service projects into broad ranges so you can see how smaller, mid-sized, and larger jobs often compare in Nevada, TX.

In many markets, a large share of routine jobs stays in the lower and middle ranges, while only a smaller percentage of projects moves into the highest bands when the work is more complex or site conditions are harder than average.

Initial Inspection - The cost for an ant extermination inspection typically ranges from $50 to $150, depending on the property size and complexity. This fee covers identifying ant types and entry points to develop an effective treatment plan.

Basic Treatment - A standard ant extermination service can cost between $100 and $300. Prices vary based on the extent of the infestation and the treatment method used by local service providers.

Comprehensive Pest Control - For ongoing or extensive ant control, costs may range from $200 to $500. This usually includes multiple visits, follow-up treatments, and preventative measures to ensure long-term results.

Additional Services - Extra services such as baiting systems or perimeter treatments can add $50 to $200 to the overall cost. These options are often recommended for severe infestations or to prevent future ant problems.

Actual totals will depend on details like access to the work area, the scope of the project, and the materials selected, so use these as general starting points rather than exact figures.

Get an Ants Extermination Service Quote

Ants Extermination services connect homeowners with local pest control providers experienced in eliminating ant infestations effectively. These professionals use targeted treatments to address indoor and outdoor ant problems.

Ant Control Treatments involve applying specialized solutions to reduce ant populations and prevent future invasions, with local experts tailoring approaches to specific property needs.

Ant Infestation Removal services are provided by local pros skilled in identifying ant nests and implementing removal strategies to restore pest-free environments.

Barrier Ant Treatments create protective barriers around properties to deter ants from entering, with local service providers customizing solutions for different property layouts.

Ant Prevention Services focus on implementing proactive measures to minimize the risk of future ant problems, with local specialists advising on effective prevention methods.

Residential Ant Extermination services are offered by local pest control experts equipped to handle ant issues in homes, ensuring safe and thorough elimination.

Ants Extermination Service

When selecting a professional for ant extermination services, experience is an important factor to consider. Local service providers often have extensive knowledge of common ant species and the most effective treatment methods specific to the area. Homeowners can review the backgrounds of different pros to understand their familiarity with local pests and their history of handling similar cases. This insight can help in making an informed decision based on the provider’s track record within the community.

Clear and written expectations are essential when engaging with a pest control professional. Reputable local pros typically outline the scope of work, treatment procedures, and any necessary preparations or follow-up steps in detailed documentation. Having these expectations in writing helps ensure transparency and aligns both parties on what services will be provided, reducing potential misunderstandings and ensuring a smoother experience.

Reputation and communication are key elements in choosing a pest control provider. Homeowners are encouraged to seek references or reviews from previous clients to gauge the quality of service and professionalism. Additionally, effective communication-whether through timely responses or clarity in explanations-can greatly influence satisfaction with the service. Local pros often maintain open lines of communication to address questions and keep clients informed throughout the process.

Get an Ants Extermination Service Quote

Property owners in Nevada, TX use Ants Extermination Service services for practical projects around their homes and businesses. The sections below highlight everyday jobs and straightforward project options.

Ants Extermination Service
Ants Extermination Service

Ants extermination services are often sought by property owners in Nevada, TX dealing with common household or commercial pest issues. Ant invasions can occur unexpectedly, especially during warmer months, and may lead to concerns about property damage or hygiene. Local service providers are available to assess the situation, identify the ant species, and implement targeted treatments to eliminate colonies and prevent future infestations.

Property owners may also seek ant extermination when noticing persistent trails or nests around their property, particularly near kitchens, basements, or outdoor areas. Effective pest control can help maintain a clean and safe environment, reducing the risk of ants contaminating food or establishing large colonies that could become difficult to manage. Local pros can provide solutions tailored to the specific needs of homes and businesses in the Nevada, TX area.

Get an Ants Extermination Service Quote

How do ant extermination services work? Ant extermination services typically involve inspecting the property to identify ant colonies, applying targeted treatments to eliminate nests, and providing advice on preventing future infestations.

Are the treatments safe for children and pets? Many extermination providers use treatments that are safe when applied by professionals; it is recommended to discuss safety concerns with the local service provider.

How long does an ant extermination treatment last? The duration of effectiveness varies depending on the treatment method and extent of the infestation; a local professional can provide guidance tailored to specific situations.

What signs indicate I need ant extermination services? Signs include visible ant trails, increased ant activity indoors or outdoors, and the presence of ant nests near the property.

How can I prevent future ant problems? Local pros often recommend sealing entry points, removing food and water sources, and maintaining clean surroundings to reduce the likelihood of ant infestations.

Ants Extermination Techniques - Local pest control providers utilize a variety of methods to effectively eliminate ant infestations, including baiting and residual treatments.

Identifying Ant Infestation Signs - Professionals can assess property conditions to detect early signs of ant activity and recommend appropriate treatment options.

Preventative Ant Control Measures - Service providers offer advice on reducing attractants and sealing entry points to help prevent future ant problems.

Customized Ant Extermination Plans - Local experts develop tailored strategies based on the specific type of ants and the severity of the infestation.

Ants Extermination Service

Considering Ants Extermination Service for a property in Nevada, TX? The sections above highlight common project types, practical options, and details that often shape the scope of work.

When you are ready, use the quote form to share a few details about your project. Local pros can review the basics and respond with options that match what you have in mind.

Get an Ants Extermination Service Quote

Ants Extermination Quotes

Our Trusted Partners
Cantu Pest Control
Orkin
Hawx Pest Control