Local Service Overview

Get Black Ant Extermination in Collin County, TX

Black Ant Extermination services for property owners in Collin County, TX, address ant infestations and typically include residential and commercial pest removal projects.

Collin County, TX

Black ant extermination services are often considered by property owners in Collin County, TX to maintain a comfortable and safe living environment. These pests can quickly invade homes and businesses, creating nuisances and potential health concerns. Professional extermination helps reduce the presence of ants, leading to a more functional space that is free from unwanted intruders and less prone to damage caused by infestations.

Choosing expert ant control also offers benefits related to durability and reduced maintenance. Effective treatments can prevent future invasions, preserving the integrity of structures and minimizing ongoing pest management efforts. Additionally, a well-executed extermination can enhance curb appeal by ensuring outdoor spaces remain tidy and free of ant activity, contributing to overall property value and visual appeal.

Get Black Ant Extermination Quotes

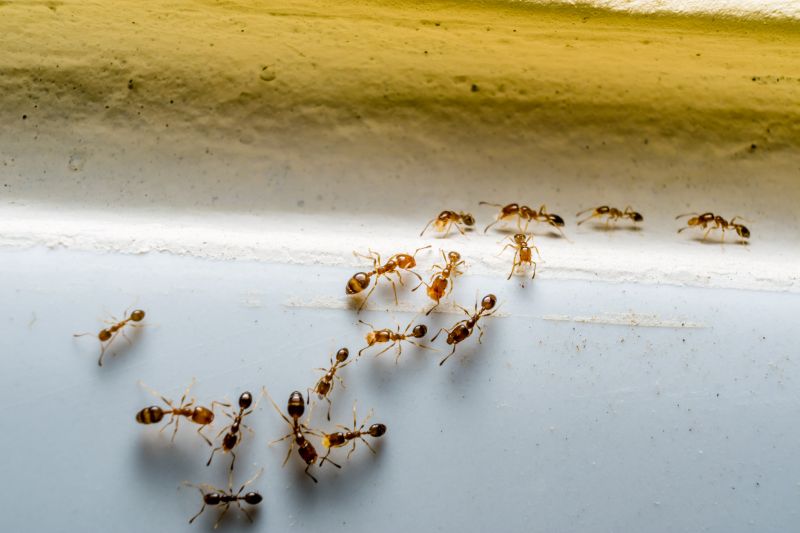
  • Black Ant Extermination services are needed when black ants invade homes or commercial properties, particularly during warmer months. Pest control professionals can help eliminate infestations in residential neighborhoods and business districts. These services are often sought when ants are found nesting in walls, kitchens, or outdoor areas near structures. Extermination may be necessary in suburban areas of Collin County, TX, and surrounding regions experiencing ant activity. Contacting local pest control providers can assist in addressing persistent black ant problems effectively.

Get Black Ant Extermination Quotes

Black Ant Extermination
Black Ant Extermination
Black Ant Extermination

Black ant extermination services are designed to eliminate infestations of black ants from residential, commercial, and industrial properties. These services typically involve thorough inspections to identify the extent of the ant problem and locate the nests. Treatment methods may include the application of targeted baits, insecticides, or barrier treatments to both interior and exterior areas. The goal is to reduce or eradicate the ant population, preventing further intrusion and damage.

Black ant problems can cause significant nuisances for property owners, especially when colonies establish themselves in or around structures. These ants can invade kitchens, pantries, and other areas where food is stored, leading to contamination and hygiene concerns. In addition, large populations can cause structural damage by nesting in wall voids, insulation, or beneath foundations. Addressing these issues promptly with professional extermination services can help restore comfort and prevent potential property damage.

Various types of properties commonly utilize black ant extermination services. Residential homes often seek treatment to eliminate ants from kitchens, gardens, and outdoor living spaces. Commercial properties, such as restaurants, grocery stores, and warehouses, may require regular pest control to maintain sanitation standards and prevent infestations that could impact business operations. Industrial facilities and multi-unit apartment complexes also benefit from targeted extermination efforts to manage persistent ant problems and maintain a pest-free environment.

Professional black ant extermination services are tailored to meet the needs of different property types and infestation levels. Local service providers typically conduct comprehensive inspections and recommend appropriate treatment plans based on the severity of the problem. By connecting with experienced pest control specialists, property owners can access effective solutions to manage black ant issues and maintain a clean, pest-free environment.

The overview below groups typical Black Ant Extermination projects into broad ranges so you can see how smaller, mid-sized, and larger jobs often compare in Collin County, TX.

In many markets, a large share of routine jobs stays in the lower and middle ranges, while only a smaller percentage of projects moves into the highest bands when the work is more complex or site conditions are harder than average.

Initial Inspection Cost - The cost for a professional assessment of black ant activity typically ranges from $50 to $150. This fee often covers identifying the extent of the infestation and recommending treatment options.

Per-Visit Treatment Fees - Single-treatment services usually cost between $100 and $300, depending on the size of the affected area. Multiple visits or ongoing treatments may increase the total cost.

Monthly Service Plans - Ongoing pest control plans for black ant management can range from $40 to $70 per month. These plans often include regular inspections and treatments to prevent future infestations.

Per-Infestation Cost - For localized black ant colonies, service providers may charge between $200 and $500 for targeted extermination. Larger or more severe infestations tend to be at the higher end of this range.

Actual totals will depend on details like access to the work area, the scope of the project, and the materials selected, so use these as general starting points rather than exact figures.

Get a Black Ant Extermination Quote

Ant Extermination - Local pest control providers offer specialized services to eliminate black ants and prevent future infestations in residential and commercial properties.

Indoor Ant Control - Pros utilize targeted treatments to address ant colonies inside buildings, ensuring effective removal and reducing the risk of recurring issues.

Outdoor Ant Management - Service providers implement barrier treatments and habitat modifications to control ant populations around the property perimeter.

Ant Inspection Services - Professionals conduct thorough inspections to identify ant activity sources and recommend appropriate treatment strategies.

Barrier Treatments for Ants - Local experts apply residual treatments to create a protective barrier, helping to keep black ants from entering the property.

Preventive Ant Control - Service providers offer ongoing maintenance plans to help prevent black ant re-infestation over time.

Black Ant Extermination

When selecting a professional for black ant extermination, it’s important to consider their experience in handling ant infestations similar to the homeowner’s specific situation. Reputable local service providers often have a history of successfully managing ant problems in residential settings, which can be an indicator of their familiarity with common challenges and effective treatment methods. Homeowners are encouraged to inquire about the duration of the provider’s experience and their familiarity with the local environment to ensure they are well-equipped to address the issue.

Clear communication and written expectations are essential when working with a pest control professional. Reputable service providers typically outline the scope of work, treatment procedures, and any necessary follow-up in written estimates or agreements. This transparency helps homeowners understand what to expect and provides a reference point for the services to be performed. It is advisable to discuss any questions or concerns beforehand to ensure all parties are aligned on the process and outcomes.

Reputable local pros often come with references or reviews from previous customers, which can serve as a valuable resource for evaluating their reliability and quality of service. Homeowners should seek out providers who are willing to share references or who have positive feedback available through trusted review platforms. Good communication practices, including prompt responses and clear explanations, are also signs of a professional who values customer satisfaction. Since the information below connects users with local service providers, it’s recommended to contact multiple options to compare their experience, communication style, and reputation before making a decision.

Get a Black Ant Extermination Quote

Property owners in Collin County, TX use Black Ant Extermination services for practical projects around their homes and businesses. The sections below highlight everyday jobs and straightforward project options.

Black Ant Extermination
Black Ant Extermination

Black ant infestations can become a common concern for property owners in Collin County, TX, especially during warmer months when these pests seek out food and moisture sources around homes and businesses. Signs of an ant problem might include visible trails, small mounds near foundations, or ants inside the building. Property owners may seek professional extermination services to effectively eliminate colonies and prevent further invasions that can disrupt daily activities or cause minor property damage.

In many cases, property owners look for black ant extermination services to address issues such as persistent ant trails or nests located in lawns, gardens, or indoor spaces. These services are often needed when simple DIY methods prove ineffective or when an infestation appears to be spreading. Connecting with local pest control providers can help ensure that the problem is handled promptly and thoroughly, restoring comfort and peace of mind in residential and commercial properties throughout Collin County.

Get a Black Ant Extermination Quote

What are common signs of black ant infestations? Signs include visible black ants indoors, trails leading to entry points, and small piles of dirt or debris near foundations or entryways.

How do extermination services typically eliminate black ants? Local service providers often use targeted treatments such as baits, sprays, or dusts to remove black ant colonies and prevent future invasions.

Are black ant treatments safe for homes with children or pets? Many extermination methods are designed to be safe when applied properly; it is best to consult with local professionals about specific safety measures.

How long does black ant extermination usually take? The duration can vary depending on the extent of the infestation, but most treatments are completed within a single visit or over a few days.

Can black ant problems come back after treatment? Yes, black ants can return if entry points are not sealed or if food sources remain accessible; ongoing prevention measures are recommended.

Black Ant Extermination Solutions - Local service providers offer targeted treatments to eliminate black ants and prevent future infestations.

Inspection and Identification - Professionals can assess property conditions to identify ant entry points and nesting areas.

Customized Treatment Plans - Service providers develop tailored approaches based on the severity of the ant problem and property layout.

Ongoing Monitoring and Prevention - Local experts can recommend and implement strategies to maintain ant-free environments over time.

Black Ant Extermination

Considering Black Ant Extermination for a property in Collin County, TX? The sections above highlight common project types, practical options, and details that often shape the scope of work.

When you are ready, use the quote form to share a few details about your project. Local pros can review the basics and respond with options that match what you have in mind.

Get a Black Ant Extermination Quote

Black Ant Extermination Quotes

Our Trusted Partners
Cantu Pest Control
Orkin
Hawx Pest Control
Mosquito Shield